图知网
搜索
首页
热门推荐
图片分类
禾下乘凉,我们接棒!
下载原图
相关图片
马克笔绘画# 禾下乘凉梦 —致敬袁隆平爷爷 临摹 作品,留着给娃当
创作灵感 禾下乘凉梦,感恩袁隆平爷爷手抄报. - 抖音
禾下乘凉梦
禾下乘凉梦儿童画临
禾下乘凉梦
袁隆平的"禾下乘凉梦"要成真了!"做梦"千万别说make dream
为你推荐
火树银花-烟花 livephotos专题动态锁屏壁纸【官方资源团】 - 资源区
穿梭在泳池中的左小青,她的笑容灿烂而自信.
毛阿敏又美回来了,一身白色穿搭配短发很高级,身材高挑气场足
溯 reverse钢琴数字简谱-虫虫乐谱
gta5高清重制罪恶都市虽然不及现在只为情怀童年回忆
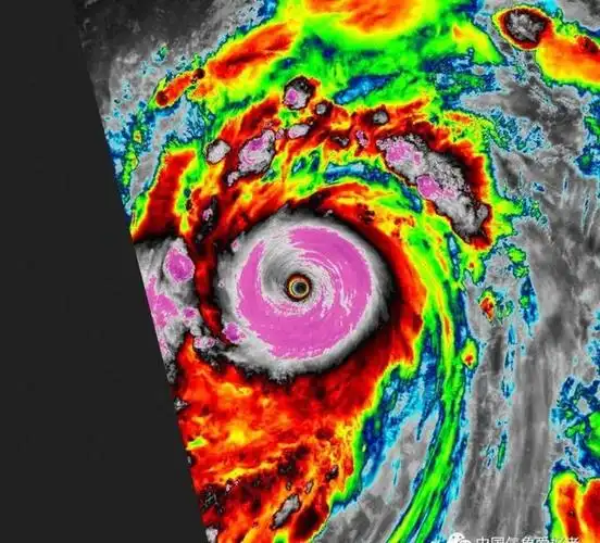
风神降临!布拉万成就台风之王,今年为何风王如此凶猛
写美篇 孩子们的综合性数学作业生活中的小数手抄报
万里长城