图知网
搜索
首页
热门推荐
图片分类
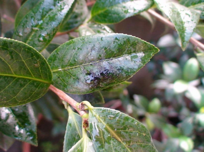
茶花常见的病害和解决方法
下载原图
相关图片
茶花16大病害防治攻坚战打响
原创茶花6种常见病虫害配图说明简单直观请收藏
茶花生长不良?观叶辨"病",详解6种典型症状,拿走不谢
这颗茶花什么病,如何冶.谢谢
请问专家煤烟病在花期和高温情况下使用什么药物治疗
山茶花叶病的症状特点,类型及防治方法
为你推荐
是时候换个微信头像了,2024龙腾四海新款个性签名头像,请查收_评论
haynes:马利克-比斯利预计将离开
1990年美女模特挂历767235厘米12张全品相如图
红酸枝原木色小四方桌 非常实用 吃饭 喝茶 打牌都很方便.# - 抖音
理发店旋转灯简笔画
据港媒消息,曾在83版《射雕英雄传》中扮演"黄药师"的老戏骨曾江在
09蝙蝠图案流行于中国猜谜活动,同时常见于古代建筑和雕刻艺术中
玉雕龙形珮 战国warring plhk保利香港 2014-10-7 lot3205 l 11.