图知网
搜索
首页
热门推荐
图片分类
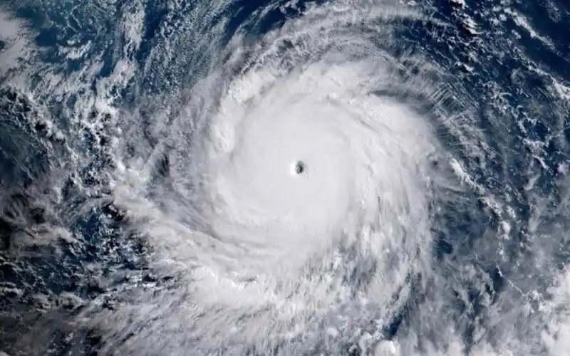
能吞下广东的18级台风山竹来袭台风天保命贴请收下
下载原图
相关图片
双台风暴袭18级台风王山竹已生成福建多地一片汪洋华南华东全面防台
逼近超强台风山竹升到18级周末将正面袭击广东
台风,冷空气"打卡上班" 这次真的彻底凉凉了
超强台风玛娃(2023)路径动画
台风有变18级超强台风利奇马登陆中国地点时间变化新预测
18号台风最新消息台风米娜与江浙沪地区擦肩而过
为你推荐
蔡徐坤女友曝光戴情侣耳钉晒同款自拍女方是创造101选手
雷佳音个人资料简介(身高/生日/年龄),雷佳音的个人资料
幼崽时期的马嘉祺
丁香色加白英短找主人
《守望先锋》路霸技能与玩法介绍
专业订制艾利不干胶贴纸标签打印纸切空白格条码打印空白
g小诙谐曲巴赫钢琴曲谱.pdf 1页
switch便携底座ns投屏转换器任天堂游戏机tv模式视频转接器4k高清多少