图知网
搜索
首页
热门推荐
图片分类
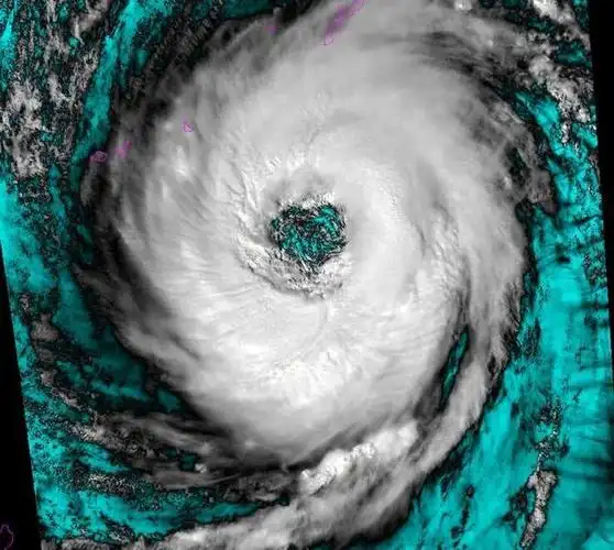
台风眼变得越来越平静了深圳科学家发现近20年台风内核降雨率降低
下载原图
相关图片
超大的台风眼
潭美巨大台风眼突然变成爱心形状,其中有什么玄机?
强台风登陆日本致人员伤亡 宇航员拍到震撼台风眼(组图)
风王飞燕走后,又有双台风胚胎在酝酿!到底是去日本还是来我国?
2017-2018年最新人教版小学二年级语文上册小学语文二年级上册风娃娃
壮观!超强台风潭美今日达到巅峰:巨大台风眼似能吞噬一切
为你推荐
因为染色体仍有可能发生可遗传的突变.
杨幂古装侠女##杨幂密逃造型梦回扶摇
地球素颜照引吐槽 网友称很好吃的样子(3)
付豪新歌mv获老爸付笛声肯定 导演曝拍摄细节
金鱼剪纸窗花学生儿童幼儿学校剪画手工双面剪纸
分享一组二次元女生头像!脸红害羞特辑p站美图欣赏
谁有空军雄鹰那个标志图片,有的发个,谢谢_搜狗问问
照片 : twitter/@ganbrood 人工智能复原拿破仑