图知网
搜索
首页
热门推荐
图片分类
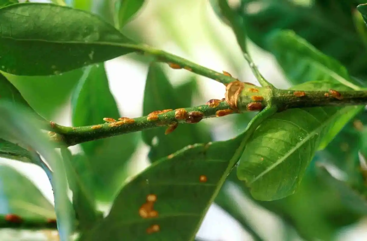
二,桉树主要虫害
下载原图
相关图片
【新技术新材料】香樟常见病虫害及其防治技术
急求茶叶虫害高清晰图片
辣椒蓟马虫害图片(辣椒蓟马用什么药效果最好)
一起来种植吧!夏季蔬菜花卉种植攻略
其它 园林植物病虫害防治--春季篇 一,汉中市园林植
关于棉蚜发生与防治的紧急预报
为你推荐
回顾苗圃:嫁大19岁富商陈义红,婚后生一男一女,如今幸福美满
你该洗头啦!明星油头造型哪家强?
[台湾牡丹樱批发]牡丹樱花树庭院景观造型樱花树苗风景花树价格350元
aj1lowgolf狼灰小迪奥配色
特价不锈钢狗链 中型
颈椎病 广泉卫生服务站 李勇
英雄联盟后期英雄暗夜猎手薇恩高清桌面壁纸
3053行书登鹳雀楼镜心水墨纸本