图知网
搜索
首页
热门推荐
图片分类
蒙古帝国历任可汗
下载原图
相关图片
蒙古帝国(英语:mongol empire),又称 - 抖音
蒙古帝国:包括元朝和四大汗国,总面积3300万平方公里,人类 - 抖音
软件名字叫全知识,蒙古帝国版图扩张#快来和我一起玩吧 #国家 - 抖音
蒙古帝国在13世纪由蒙古乞颜部铁木真建立,包括中国元朝,金帐汗国
图一:大蒙古帝国是真的豪横,横跨欧亚大陆 图二:历史上说之所以没有
成吉思汗当初建立的蒙古帝国,放到现在,是包含了哪些国家?
为你推荐
宝宝1周岁生日布置气球海报套餐小王子星空主题会场背景墙装饰品2
动画帧图片-动画帧素材-动画帧模板高清下载-图龙网
平西夜市烤小黄鱼为什么可以这么好吃啊
【美国进口】爱司盟茶叶茶氨酸复合片搭gaba氨基丁酸
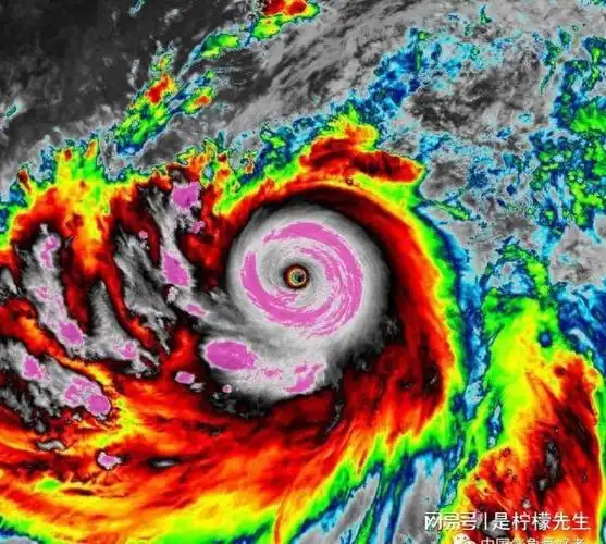
巨大,外围云系庞大,直径超过了2000公里,与1979年的超强台风泰培相似
张雨生《大海》 #音乐 #音乐欣赏 #致敬经典怀旧金曲
03 01图片_百度百科
凹凸世界人设