图知网
搜索
首页
热门推荐
图片分类
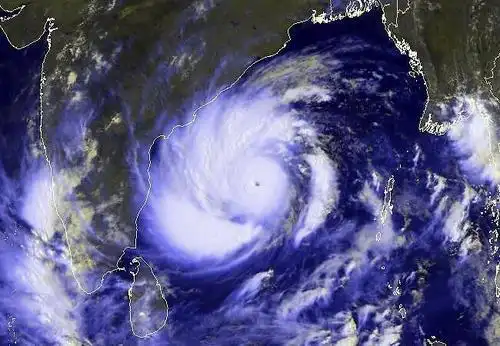
超强台风威马逊登陆海南最大风力17级
下载原图
相关图片
风力115kt超预期17级超强台风费利西娅到6号准台风指向华南
卡努已加强为超强台风,或在8月2日夜间移入东海,超强台风有多强|风力
又超强台风17号玫瑰或超16级国庆期间横扫日本奥鹿影响我国
17级以上!超强台风安攀还要升级,或接连登陆2国,最大风力15级
史上最强台风,强度破纪录(风力强劲)
风力|东海|强降雨|台风玛娃_网易订阅
为你推荐
整治三年行动推进会,区委常委,副区长,区安委会副主任张权权出席会议
千惠侬不锈钢圆形观察窗150直径玻璃密封冷库干燥烘箱观察口 不锈钢
动漫头像 | 动漫ins小众高级质感女头 每当我刷到一些感同身受的文字
的士车出租公司电话?
威尔逊云室设计形成于1895年前后,当时设计目的是探究摸拟水蒸气冷凝
《猪猪侠之竞球小英雄》第一季高清片花-菲菲想加入球队
"望仔,我找不到你了" #某某 #江添盛望 #添望
番外:海漂的日记